公開日 2016年7月24日
7月24日(日)。えんむすび隊は、宿毛市鵜来島を訪れました。
宿毛市片島から渡船に乗ること、およそ45分。宿毛市沖の島の北西に浮かぶ、周囲わずか6kmほどの鵜来島が見えてきます。県内でも数少ない有人離島である鵜来島。島を囲む海は、文字通り、碧く澄んでいます。平地がほとんどなく、人びとは海辺の斜面に石垣を築いて家を建て、段々畑を造ったそう。漁業が盛んだった島らしく、現在も海の恵みと耕した畑の収穫を分かち合いながら、20数名の人びとが暮らしています。
そんな鵜来島の周辺には、知る人ぞ知るダイビングスポットがいくつかあります。そもそも黒潮が直にぶつかる海域である四国西南部の海には、テーブルサンゴが広範囲に群生し、1,000を超える種類の生物がいると言われています。鵜来島もご多聞に漏れず、魅力的なポイントが複数あるのだとか。けれど、「近隣の柏島や沖の島に比べると知名度はいま一つ」。島出身の若手の中には、島を囲む紺碧の海を生かして、島の生き残りを考えたい、という方もいるそうです。島の暮らしを知り、地域の資源である海を体験して、その魅力を言葉にして共有する。こうした目的の下、えんむすび隊はダイビング体験とワークを行いました。
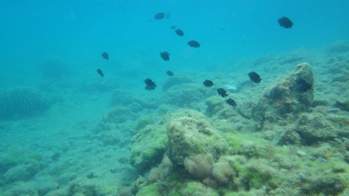
分厚い雲が時折見える空の下、9時前に片島に到着。簡単な打合せを行った後に、島出身の方が営む渡船で鵜来島に渡ります。時折雨に降られながら、鵜来島の湾に到着。「今日は少し濁っている」とは地元の方の談。それでも、海のあまりにも澄んだ碧さと魚影が透けて見えることに、学生たちからは感嘆の声が漏れました。
2名のインストラクターの方にサポートをしてもらいつつ、3名ずつがダイビングを体験。そして11時頃からは、旧鵜来島小・中学校で、島の方々にお話をうかがいます。3つほどのグループに分かれ、思い思いに島の暮らしについて質問します。「普段の買い物はどうしているんですか」「島の外に出ることはありますか」「一番若い方はおいくつですか」等々。島の方々も、「魚は漁師さんから分けてもらう」「畑をしているし、お裾分けもし合う。食べるものには困らない、この島は」「島にいる人は高齢化してできないことも多いから、私たちの子ども世代の島出身者による『島を守る会』が、祭りを担うなど、がんばっている」等、答えてくださいました。
ダイビング体験とお話とを踏まえ、いよいよ今日学んだことを言葉にして伝えます。やむをえない事情で急遽、片島に戻ってのワークとなりました。鵜来島の方々にきちんとお伝えいただくようにと約束をして、島出身の方の前で発表します。「もっと深くまで潜りたくなる魅力を感じた」、「海で遊ぶことにくわえ、高齢化が進んだ島の方々の『してほしいこと』に応えることを盛り込んだ、鵜来島体験の宿泊ツアーを提案したい」、「譲り合いがあり慣れ親しんだ人たちといることの安心感、台風が来ても被害はない、島を離れたいと思ったことはないとの語りに触れた。大金を使ったレジャーに価値を見出すのではなく、足元にある幸せを大切にして暮らしている島の人たちの在り方そのものが魅力」、「大量にいたフナムシを活かしたい」、といった発表がなされました。
お世話になったみなさま、ありがとうございました。
以下に参加した学生の声を一部紹介します。是非ご一読ください。
●理学部理学科2年女子
今回の活動には、ダイビングをしたいとか広大な自然を肌で感じたいなどという動機もありましたが、住民の方々のお話を聞くことをとても楽しみにしていました。住民の方々とはおよそ6人ぐらいの方たちとお話をすることができました。最初にダイビングをして、とても楽しく美しい海でした。この海は、私達だけではなく、もっといろいろな人に知ってもらいたいなと思いました。島民の方々のお話の中で、昔はもっときれいでたくさん魚がいたんだよという話を聞いて、もうこれ以上魚を減らしたり、海を汚してしまわないようにしたいという思いが強く残りました。ダイビングをしただけだったら、楽しい気持ちだけで終わってしまいそうでしたが、色々なお話を聞かせて頂けたのでダイビングを活かして地域を活性化させるためには環境美化活動などをおり混ぜると良いなと考えました。
●人文社会科学部人文社会科学科1年女子
今回参加したのは限界集落や島暮らしに興味があったからです。うぐる島は人口20人ほどで、ほとんどが高齢者と聞いていまいた。少しは子どもがいると思っていたので、実際島に着いたら驚きました。若い人と言っても40代で、その方々が支援員として島の様々な事をしていました。でも高齢者の方の方が元気だそうです。今回島の方とお話する中で、ただ体験するだけでなく、何ができるか考えていきたいと思いました。私が話を伺ったのは支援員の方でした。その方は自分たちが教えることはないが、島に来た人の話、この島をどう生かせば良いのかの案が知りたいと言っていました。ただ遊んで終わるのではなく、島の魅力を活かしたことを何か伝えたいと思いワークショップで班の方と案を考えました。私は将来島、田舎で暮らしたいと思っています。ただ思っているだけでこれからどうなるかもわかりませんが、今回の島やその島が抱える問題、その対策も考えてこれからも島や田舎といったことを知りたいです。体験後の学び、大切にしたいです。
●地域協働学部地域協働学科1年男子
今回は、ダイビングが安い費用でできるという事で参加しました。スーツを着ることや、ボンベを使った水中での呼吸など初めての事ばかりでわくわくしました。海の中はきれいで、今まで見た事の無い景色でした。色とりどりの魚なども見えて、もう一度やりたいという気持ちになりました。
また、地域の人とお話をしてみての感想は、地域支援員の方が「鵜来島に来てくれるのはいいが、そこからフィードバックを求めている。」と言っていました。私はすごく積極的な意見だなと思い、すごく心に残っています。その半面、あまり声を届けて下さらない人もいたので、やはり本当に地域を変えようとするならば、もっと地域の声を聞くために、何度も訪問しなければいけないと感じました。

